< Back to Listings
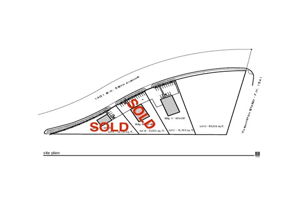
1401 SW 58th Ave
Amarillo , Texas 79110
- Listing Type:
- For Sale
- Listing Price:
- $569,000.00
- Property Type:
- Industrial
- Property Subtype:
- Flex Space
- Year Built:
- 2021
- Listing Status:
- Active
- Building Size:
- 6000 SqFt
- Land Area:
- 0.96 Acres
Description:
6,000 SF 0ffice/warehouse space located in S Amarillo on the SW corner of Washington(FM-1451) & 58th. Daily traffic counts as reported by the City of Amarillo is 21,722 vehicles per day. Property has floor drains with oil sand separators, three phase electrical with 220, and room for a fenced in yard.
Zoned Light Commercial
Daily Traffic Count 21,722
Easy access to S LOOP 335 & I-27
Room for fenced in yard.
Presented by:
Listed by:
Keller Williams Realty Amarillo
Amarillo
Mortgage Calculator
INPUTS
